nightingale trails
discovering wildlife in the landscapes of Southern Spain
Skip to content
Home
About the blog & me
ALCORNOCALES NATURAL PARK
Cork Oak-Quercus suber
LA ALMORAIMA-location & description
Trip report-March 2010
TOWNS AND VILLAGES
Alcalá de los Gazules
Benalup-Casas Viejas
Trees of the Alcornocales Natural Park
BIRDS & BIRDWATCHING
Bird Sightings List
Common Cranes at La Janda
Garden Birds
Herons & egrets – Ardeidae
White Stork – Ciconia ciconia
Chiffchaff – Phylloscopus collybita
CÁDIZ PROVINCE
Beaches & Seashores
Seashells
Sotogrande Natural Park & the Guadiaro Estuary
A winter walk- the reserve in December
FAUNA
BEETLES
Red-striped Oil Beetle
Rhinoceros Beetle
Butterflies – photo id guide
Butterflies of the Sierra de las Nieves
Cicada
Crab Spider
Egyptian Grasshopper
Hoverflies
Mammoth Wasp
MOTHS-Day-flying
Hummingbird Hawk Moth
Praying Mantis
REPTILES & AMPHIBIANS
Large or Algerian Psammodromus lizard
Moorish Gecko – Tarentola Mauritania
Spiny-footed Lizard
Stripeless Tree Frog
Iberian Wall Lizard
Violet Carpenter Bee
FLORA
Maritime; beach, dunes & coastal
Orchids-Orchidaceae
Vetches, trefoils, clovers
FLORA of GARDENS & PUBLIC SPACES
Trees: The Pines, Palms & birds
HABITATS
OPEN COUNTRY/FARMLAND
Jimena countryside walk
WETLANDS
LA JANDA – site location, description
Trip report November 2007
La Janda Bird Calendar
WOODLANDS
Malaga Province
Río de Manilva; Roman Baths; Sierra de Utrera – site location & directions
SIERRA DE LAS NIEVES
RIVERS,LAKES & RESERVOIRS
Laguna de Medina Sidonia-site location & description
Laguna de Medina Sidonia – bird calendar
The Barbate reservoir
The Guadarranque Reservoir-Embalse Guadarranque
The Guadarranque River – el Rio Guadarranque
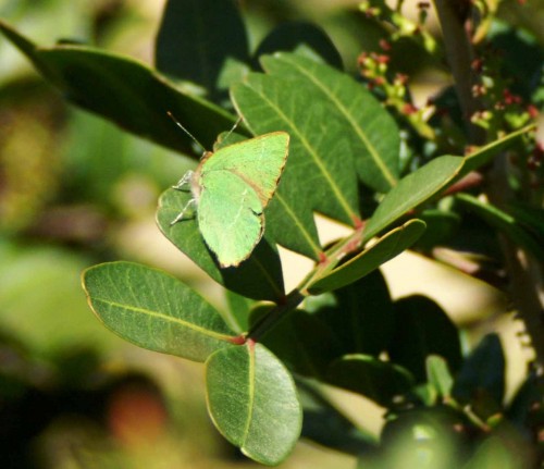
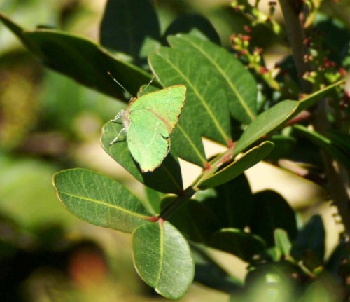
24MAR07-tgjimena-Green Hairstreak
Published
09/06/2011
at
500 × 431
in
Butterflies – photo id guide
← Previous
Next →
24/3/07-Jimena
Share this:
Share on Facebook (Opens in new window)
Facebook
Share on X (Opens in new window)
X
Like
Loading...
Bookmark the
permalink
.
Leave a comment
Cancel reply
Δ
Subscribe
Subscribed
nightingale trails
Join 118 other subscribers
Sign me up
Already have a WordPress.com account?
Log in now.
nightingale trails
Subscribe
Subscribed
Sign up
Log in
Copy shortlink
Report this content
View post in Reader
Manage subscriptions
Collapse this bar
%d